お知らせ
12.92025
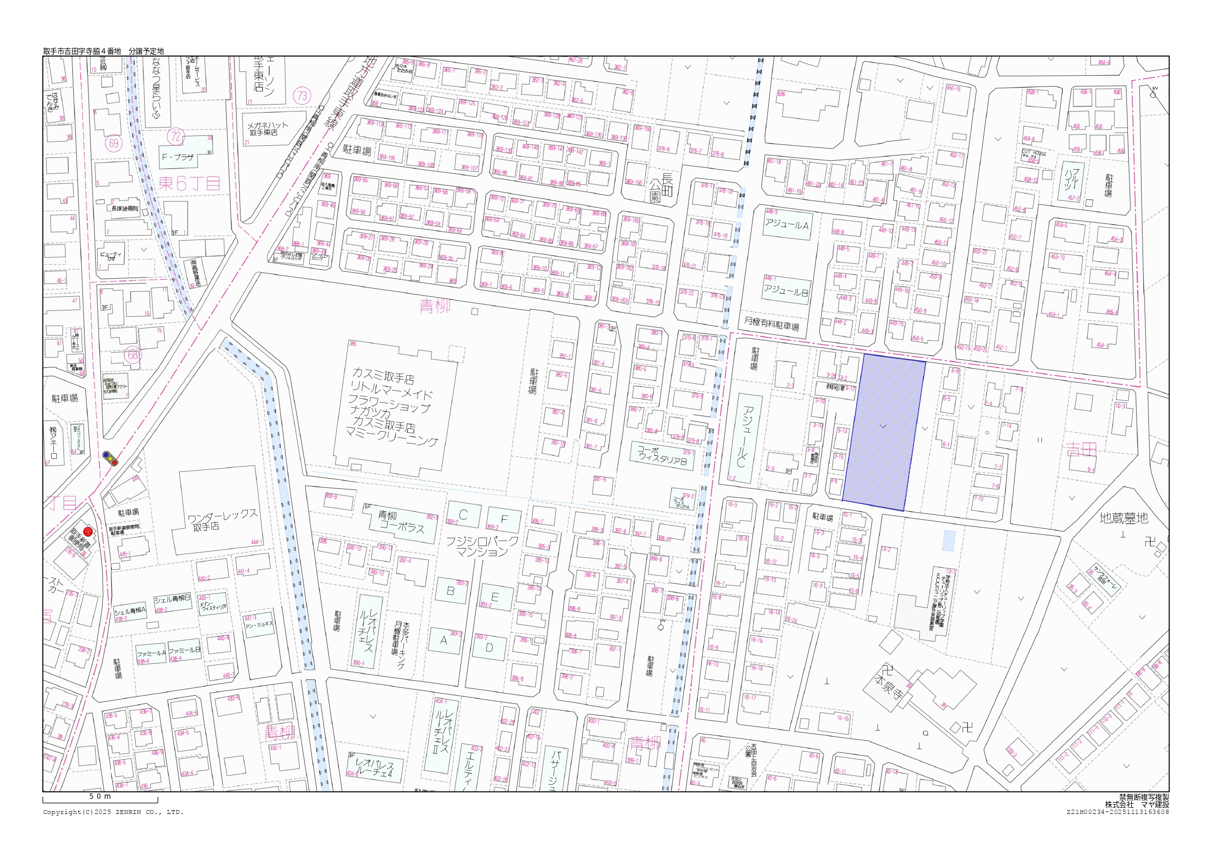
✨【NEW】取手市吉田8区画分譲売地販売予約開始のお知らせ!!✨
ご納得いただける建築プランをご提案いたします♪
お気軽にご相談ください(^^)/
1・8号地建築条件付き
2~7号地建築条件無し
〖現地 現在造成工事中〗
〖南側接道〗
《所在図》
◎住所 取手市吉田字寺脇4
(南側チューリップ幼稚園様住所 吉田13-1)
■平日のご見学も対応いたしますので、お気軽にお問い合わせください。
■掲載物件の他にも、ご希望の条件などを教えていただければご紹介いたしますので、ご相談ください。
お問い合わせ先 TEL0297-58-5000
メールアドレス tx@mayaken.com
最近のお知らせ
-
2026/2/12
-
2026/2/12
-
2026/2/12
-
2026/2/12
-
2026/2/12
-
2026/2/12














